Viêm khớp cùng chậu là bệnh lý mạn tính, nếu không điều trị kịp thời có thể gây ra nhiều biến chứng nguy hiểm như teo cơ, dính khớp, biến dạng khớp, thậm chí là tàn phế.
Viêm khớp cùng chậu là gì?
Khớp cùng chậu là phần nối liền giữa xương cùng cụt dưới cột sống thắt lưng và xương cánh chậu ở vùng hông. Tình trạng viêm tại một hoặc cả hai khớp cùng chậu được gọi là viêm khớp cùng chậu.
Viêm khớp cùng chậu thường gặp ở người lớn tuổi, có thể xảy ra ở cả nam giới và nữ giới. Nếu không điều trị sớm, người bệnh sẽ phải đối mặt với các biến chứng nguy hiểm như teo cơ, dính khớp, biến dạng khớp, thậm chí là tàn phế.
.jpg)
Vị trí khớp cùng chậu trên cơ thể.
Nguyên nhân gây bệnh viêm khớp cùng chậu
Tổn thương viêm khớp cùng chậu có thể xảy ra do nhiều nguyên nhân khác nhau. Trong đó, các nguyên nhân phổ biến có thể kể đến:
Các bệnh lý viêm khớp, cột sống: Viêm cột sống dính khớp, viêm khớp phản ứng, viêm khớp vẩy nến, lupus ban đỏ hệ thống, viêm khớp dạng thấp…
Mang thai: Kích thước bào thai lớn khiến vùng tiểu khung bị chèn ép, gây ứ huyết ở khung chậu, tạo áp lực lên bàng quang dẫn đến nhiễm khuẩn tiết niệu ngược dòng. Ngoài ra, dưới tác động của hormone Relaxin khi mang thai, dây chằng của xương chậu, cột sống có xu hướng nới lỏng, giãn ra dẫn đến việc rối loạn dây chằng khớp cùng chậu, gây viêm khớp cùng chậu.
Thoái hóa khớp: Tình trạng thoái hóa khớp do quá trình lão hóa tự nhiên của cơ thể gây bào mòn sụn khớp, hình thành gai xương và viêm tại khớp cùng chậu
Nhiễm trùng: Tình trạng nhiễm khuẩn tại cơ, dây chằng, các phần mềm quanh khớp cùng chậu, cơ quan sinh dục, đại tràng… có nguy cơ cao gây viêm khớp cùng chậu.
Chấn thương: Các chấn thương thể thao, va chạm, té ngã, tai nạn giao thông… có tác động trực tiếp lên vị trí khớp cùng chậu hoặc phần mềm xung quanh có thể dẫn đến tình trạng viêm khớp cùng chậu.
Bệnh viêm khớp cùng chậu có triệu chứng gì?
Bệnh lý viêm khớp cùng chậu đặc trưng bởi các cơn đau nhức tại vùng lưng dưới, hông, mông một hoặc cả hai bên nên rất dễ nhầm lẫn với đau thần kinh tọa do các bệnh lý thoát vị đĩa đệm, thoái hóa cột sống. Vì vậy, cần phân biệt viêm khớp cùng chậu với các bệnh lý khác nhờ các triệu chứng:
Đau vùng lưng dưới, hông, mông: Triệu chứng trầm trọng hơn khi đứng lâu, ngồi lâu hoặc dồn trọng lực sang một bên, đau tăng khi lên cầu thang, chạy bộ, bước dài, xoay hông… Có thể xảy ra tình trạng tê chân.
Hạn chế vận động: Co duỗi, gập chân gặp khó khăn, đi lại hạn chế do đau dẫn đến thay đổi dáng đi.
Đau tại khớp: Có thể xảy ra tình trạng sưng, nóng, đỏ, đau, buốt tại vị trí khớp cùng chậu.
Các triệu chứng khác: Có thể sốt nhẹ, buồn nôn, mất ngủ, rét run người... Phụ nữ bị viêm khớp cùng chậu có thể đau âm ỉ bụng dưới, tiết dịch hoặc chảy máu âm đạo bất thường.
.jpg)
Đau lưng dưới là biểu hiện điển hình của viêm khớp cùng chậu.
Chẩn đoán bệnh viêm khớp cùng chậu như thế nào?
Để chẩn đoán chính xác bệnh lý viêm khớp cùng chậu, bác sĩ sẽ dựa trên bệnh sử, triệu chứng, các nghiệm pháp kiểm tra phản ứng… của bệnh nhân cùng kết quả cận lâm sàng (chụp X-quang, CT hoặc MRI).
Chẩn đoán lâm sàng
Xem xét và đánh giá vị trí đau, tính chất cơn đau, tần suất đau, xu hướng đau lan sang vị trí khác, khả năng vận động khi đau…
Các nghiệm pháp thăm khám thực thể: Giãn khung chậu, đẩy đùi, ép khung chậu, nghiệm pháp Faber, nghiệm pháp, Gaenslen...
Từ các kết quả kiểm tra lâm sàng, bác sĩ sẽ đề xuất bệnh nhân thực hiện các xét nghiệm cận lâm sàng phù hợp để chẩn đoán chính xác bệnh viêm khớp cùng chậu.
Chẩn đoán cận lâm sàng
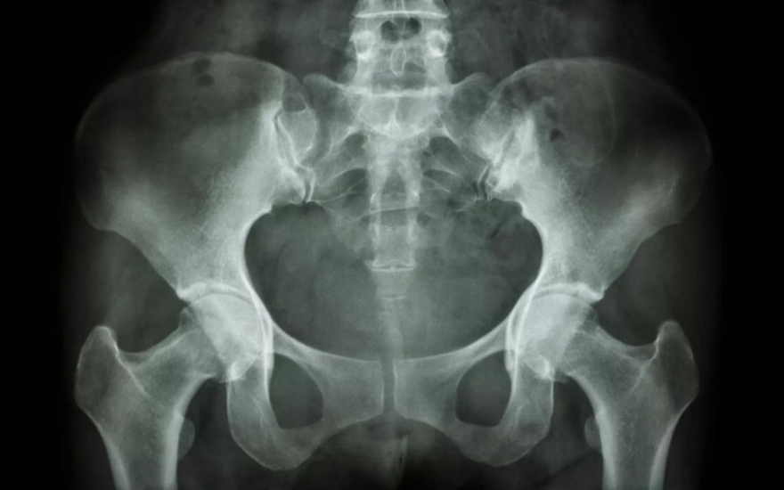
Chụp X-quang và CT: Ở giai đoạn sớm, chụp X-quang chưa phát hiện được tổn thương khớp cùng chậu. Tuy nhiên, khi bệnh tiến triển nặng, chụp X-quang và CT có thể cho thấy tình trạng khe khớp cùng chậu rộng, xơ cứng trên bề mặt khớp, bào mòn khớp, dính một phần khớp cùng chậu... Giai đoạn 4: dính khớp cùng chậu hoàn toàn.
Chụp cộng hưởng từ (MRI): Ngoài các hình ảnh có thể thấy trên X-quang, CT, chụp MRI còn cho thấy mức độ tổn thương viêm khớp cùng chậu, cơ, dây chằng, phần mềm quanh khớp, các vết nứt gãy nhỏ tại vị trí khớp. Chụp cộng hưởng từ có thể giúp chẩn đoán viêm khớp cùng chậu từ giai đoạn khởi phát, trong khi X-quang và CT không phát hiện được.
.jpg)
Hình ảnh viêm khớp cùng chậu trên phim chụp X-quang.
Chẩn đoán phân biệt
Các triệu chứng của bệnh viêm khớp cùng chậu có thể nhầm lẫn với bệnh lý khác như thoát vị đĩa đệm, thoái hóa cột sống. Vì vậy, cần xem xét rõ các triệu chứng, tổn thương đi kèm để chẩn đoán phân biệt, loại trừ hai bệnh lý trên.
Phương pháp điều trị bệnh viêm khớp cùng chậu
Điều trị bệnh lý viêm khớp cùng chậu dựa trên triệu chứng và mức độ tổn thương khớp cùng chậu trên hình ảnh cận lâm sàng. Tùy mức độ đau nhức, hạn chế vận động, biến chứng mà bác sĩ chỉ định điều trị nội khoa hay phẫu thuật.
Điều trị nội khoa
Sử dụng thuốc: Thuốc giảm đau, chống viêm không steroid, giãn cơ theo chỉ định của bác sĩ. Không tự ý mua thuốc hoặc uống thuốc kéo dài mà không có chỉ định.
Tiêm corticosteroids tại chỗ giúp giảm viêm, giảm đau, áp dụng tùy tình trạng viêm khớp cùng chậu, cần được thực hiện tại các bệnh viện, cơ sở y tế uy tín có phòng thủ thuật vô khuẩn và hệ thống máy chụp mạch số hóa xóa nền (DSA).
Vật lý trị liệu: Có tác dụng giãn cơ, làm mềm cơ, tăng khả năng linh hoạt khớp cùng chậu, ổn định các nhóm cơ quanh khớp cùng chậu, làm chậm quá trình thoái hóa, giảm tình trạng viêm tiến triển… Các bài tập lý trị liệu nên cần được thực hiện theo dưới yêu cầu và giám sát của chuyên gia nhằm đánh giá và thay đổi theo mức độ tiển triển.
Hiệu quả của điều trị nội khoa thường được đánh giá sau khoảng 3 tháng điều trị, nếu triệu chứng không đỡ, bác sĩ có thể chỉ định phẫu thuật thay khớp háng nhân tạo.
.jpg)
Vật lý trị liệu được ứng dụng phổ biến trong điều trị viêm khớp cùng chậu.
Các thủ thuật can thiệp ít xâm lấn
Trong trường hợp bệnh nhân bị viêm khớp cùng chậu, không đáp ứng với điều trị nội khoa từ 3 tháng trở lên thì có thể xem xét thực hiện thủ thuật đốt sóng cao tần (RFA).
Sóng cao tần RFA sử dụng nhiệt lực làm tê liệt lớp vỏ dây thần kinh chi phối cảm giác đau ở khớp liên mấu và đốt sống, giúp giảm đau hiệu quả.
Phẫu thuật
Phẫu thuật thường được chỉ định trong trường hợp:
Tình trạng đau kéo dài, mức độ tăng dần.
Khả năng vận động hạn chế, không thể đứng, ngồi hoặc xoay nghiêng.
Các triệu chứng không có dấu hiệu thuyên giảm sau khi điều trị nội khoa khoảng 3 tháng.
Có thể nhìn thấy dính khớp, sự phá hủy cấu trúc rõ ràng trên hình ảnh X-quang, CT hay MRI.
Các phương pháp phẫu thuật có thể kể đến: Phẫu thuật mở đóng ổ khớp, phẫu thuật thay khớp háng nhân tạo.
Có thể bạn quan tâm:
Điều trị bệnh viêm khớp cùng chậu ở đâu tốt?
Tại Hà Nội, Khoa Cơ xương khớp - Bệnh viện Đa khoa Hồng Ngọc là địa chỉ thăm khám và điều trị viêm khớp cùng chậu uy tín và được đông đảo khách hàng đánh giá cao về chất lượng chuyên môn, dịch vụ.
Đội ngũ bác sĩ giàu kinh nghiệm, giỏi chuyên môn, từng công tác tại các bệnh viện lớn trong và ngoài nước: Bệnh viện Bạch Mai, Bệnh viện Việt Đức, Bệnh viện Đại học Y, bệnh viện Hữu Nghị…
Hệ thống máy móc, thiết bị y tế hiện đại nhập khẩu: Máy MRI SIGNA Prime, Máy CT 128 dãy (Mỹ)… giúp xác định mức độ tổn thương khớp cùng chậu, chẩn đoán chính xác bệnh lý từ giai đoạn khởi phát.
Hệ thống máy trị liệu nhập khẩu đồng bộ từ Đức: Sóng xung kích, điện xung giao thoa… tác động sâu giúp giảm đau hiệu quả, cải thiện độ linh hoạt khớp.
Các tiện ích: Không gian khách sạn bệnh viện 5 sao; lịch trình theo dõi cụ thể, chủ động hẹn tái khám; bảo hiểm bảo lãnh nhanh chóng; làm việc cả Thứ Bảy và Chủ Nhật không phát sinh phí.
.jpg)
Bệnh viện đa khoa Hồng Ngọc điều trị viêm khớp cùng chậu tất cả giai đoạn.
Viêm khớp cùng chậu nếu không phát hiện sớm và điều trị kịp thời có thể gây ra các biến chứng nguy hiểm như teo cơ, liệt chi, mất vận động. Vì vậy, nếu có triệu chứng đau nhức ở vùng lưng dưới, hông, mông kéo dài, người bệnh cần tới bệnh viện hoặc các cơ sở y tế uy tín để được thăm khám, chẩn đoán và điều trị, ngăn bệnh tiến triển nặng.
Nếu có nhu cầu nhận tư vấn chuyên sâu hơn về khám và điều trị viêm khớp cùng chậu tại Bệnh viện Đa khoa Hồng Ngọc, quý khách vui lòng liên hệ theo số Hotline 0889621046 để được hỗ trợ kịp thời!
**Lưu ý: Những thông tin cung cấp trong bài viết của Bệnh viện Đa khoa Hồng Ngọc mang tính chất tham khảo, không thay thế cho việc chẩn đoán hoặc điều trị y khoa. Người bệnh không được tự ý mua thuốc để điều trị. Để biết chính xác tình trạng bệnh lý người bệnh cần tới các bệnh viện để được bác sĩ thăm khám trực tiếp, chẩn đoán và tư vấn phác đồ điều trị hợp lý.
Theo dõi fanpage của Bệnh viện Đa khoa Hồng Ngọc để biết thêm thông tin bổ ích khác: